世界之最_台风
大家都知道台风是一种破坏力超强的大自然现象,一般都多发在海洋上空,人类有史记载以来,台风对人类和建筑物的破坏越来越频繁。是一种不容小觑的自然灾害,台风迎来会诱发暴雨、洪涝、泥石流、风暴潮等次生灾害。热带气旋中心持续风速在12级至13级(即每秒32.7米至41.4米)称为台风,据科学家研究,台风释放的能量功率相当于全世界发电功率的200倍,

因此台风大风及其引起的海浪可以把万吨巨轮抛向半空拦腰折断,也可把巨轮推入内陆;也足以损坏甚至摧毁陆地上的建筑、桥梁、车辆等。特别是在建筑物没有被加固的地区,造成破坏更大。大风也可以把杂物吹到半空,使户外环境变得非常危险。同时一次台风登陆,降雨中心一天中可降下100-300毫米,甚至500-800毫米的大暴雨。台风暴雨造成的洪涝灾害,来势凶猛,破坏性极大,是最具危险性的灾害。另外台风的这些灾害极易诱发城市内涝、房屋倒塌、山洪、泥石流等次生灾害。那台风是怎么形成的呢,在热带海洋面上经常有许多弱小的热带涡旋,我们称它们为台风的“胚胎”,因为台风总是由这种弱的热带涡旋发展成长起来的。通过气象卫星已经查明,在洋面上出现的大量热带涡旋中,大约只有百分之十能够发展成台风在台风形成之前,预先要有一个弱的热带涡旋存在。我们知道,任何一部机器的运转,都要消耗能量,这就要有能量来源。台风也是一部“热机”,它以如此巨大的规模和速度在那里转动,要消耗大量的能量,因此要有能量来源。台风的能量是来自热带海洋上的水汽。在一个事先已经存在的热带涡旋里,涡旋内的气压比四周低,周围的空气挟带大量的水汽流向涡旋中心,并在涡旋区内产生向上运动;湿空气上升,水汽凝结,释放出巨大的凝结潜热,才能促使台风这部大机器运转。所以,既使有了高温高湿的热带洋面供应水汽,如果没有空气强烈上升,产生凝结释放潜热过程,台风也不可能形成。所以,空气的上升运动是生成和维持台风的一个重要因素。然而,其必要条件则是先存在一个弱的热带涡旋,那你知道世界上最大的台风发生在什么地方吗?

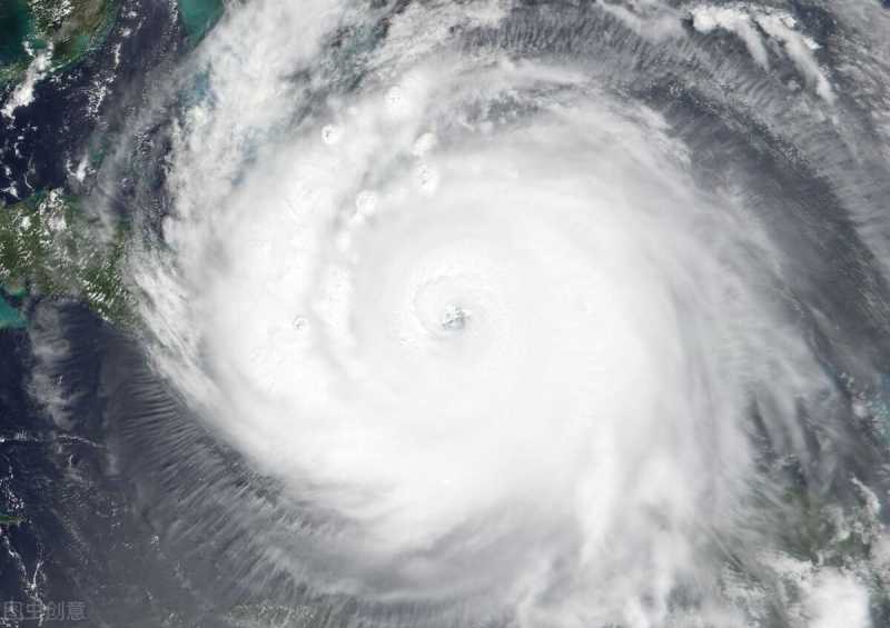
至有记录一来,世界最大的台风出现在1979年,名为台风泰培,出现的地方位于西北太平洋,美国联合台风警报中心称之为超级台风泰培,他是有纪录影响范围最大、最低中心海平面气压热带气旋。日本1979年的大范围洪灾就是由这个台风造成的。当时日本国内一向不以命名称呼台风,所以当时日本气象台对内称呼该台风为第20号台风,并在记录里记为昭和54年第20号台风。 而2013年的台风海燕打破泰培台风维持34年中心附近最大阵风的纪录。台风泰培是有纪录以来全世界综合情况最强烈的热带气旋,于10月12日达到风速每小时305公里的最高强度,海平面气压低至870毫巴(百帕,25.69英寸汞柱),刷新世界纪录。致使13人遇难,68人受灾。该国其他地区还因这场台风引发大范围洪灾,导致42人丧生,海上还有许多船只沉没,至少44人死亡或失踪。泰培台风半径1110千米,风速305km/h,台风泰培暴风半径1110千米,最高风速由260 km/h至305 km/h,但由于其主要是发生在太平洋上,这场台风共造成110人死亡、5人失踪、543人受伤,139栋房屋倒塌,另有1,287栋受损,地上浸水8,157栋、地下浸水47,943栋,耕地受害25,451公顷,船舶受害19只,在达到最高时速后,泰培逐渐减弱并向日本沿海靠近。大量的不间断的降雨,导致了本州岛多处塌方和泥石流。最终泰培减弱为弱风暴并于10月19日在日本登陆,一共造成了68人死亡,并给日本的农业和渔业造成了数百万美元的重大损失,也是比较恐怖的,那前面也讲过龙卷风,同样都是自然灾害,那这两种有什么区别吗?
时速:龙卷风中心附近风速可达100m/s~200m/s,最大300m/s,比台风近中心最大风速大好几倍。
突发性:从热带风暴的形成,到加强成为台风,是需要一段时间的。在这段时间里,可以预测台风的路径、强度、登陆地点、影响范围等等,在第一时间发出警报;而龙卷风,来无影,去无踪,几乎无法预测,更来不及警报。
破坏力:台风的影响范围广,持续时间长,破坏力可谓超强;而龙卷风虽然够猛够狠,但持续性一般
频率:台风季里,沿海地区的台风还是较为频繁的,而龙卷风几乎很难见到。
而龙卷风是小尺度天气系统,台风是大尺度天气系统。龙卷风可以顺时针旋转,也可以逆时针旋转,北半球台风只能逆时针旋转。龙卷生命史只有几小时,台风则为几天—十几天。龙卷风力比台风更大,破坏力更强,但破坏范围小。
那这两种自然灾害来临前我们应该注意什么呢
1.关紧门窗,紧固易被风吹动的搭建物。
2.处于可能受淹的低洼地区的人员要及时转移。
3.检查电路、炉火、煤气灯设施是否安全。
4.露天集体活动或室内大型集会及时取消,做好人员撤离。
5.农村群众要积极开展生产救灾工作,做好设施农业、经济林果的防风工作,农田的排涝工作。特别是岫岩地区,蘑菇冷棚要做好加固工作,避免强风和降雨对日后生产产生较大影响。话说回来,只要保护自己才能让损失降到最低,好了,今天就科普到这里了,明天见
大家都在看
-
“世界上最漂亮的中国美女”是谁? “世界上最漂亮的中国美女”并没有绝对唯一的官方定论。因为“美”是非常主观的概念,不同榜单、媒体、文化和个人的审美标准千差万别。不过,有几位女性在各类国内外评选中常年位居前列,是公认的颜值标杆: 1. 刘亦 ... 世界之最04-29
-
世界上最蠢的三件事,我全干过😂😂😂 第一蠢:借钱出去,等人家主动还你有没有这种经历?朋友开口,你二话不说转账。心里想:“都是熟人,他肯定记得。”结果呢?三个月、半年、一年过去了,人家该吃吃该喝喝,朋友圈晒旅游晒新车,就是绝口不提那笔钱。 ... 世界之最04-29
-
“面条国家”智利:是世界上最“瘦”的国家,也被地理勒得最紧 说到智利,有人会想到复活节岛的石像,有人会想到南美洲最发达的国家,但是更多人想到的则是那“瘦成闪电”的国土形状。智利南北长4300多公里,相当于从黑龙江漠河到西沙群岛。而东西宽度,却平均只有180公里,最窄 ... 世界之最04-27
-
所谓“人吃人”,是世界最真实的生存法则 很多人听到“人吃人”,便觉得残忍阴暗,却不知这从不是字面的野蛮行径,而是社会运行、人性博弈的底层真相,是贯穿一生的现实常态。看清这一点,不是让我们变得冷漠刻薄,而是读懂世界的规则,活得清醒通透。这里的 ... 世界之最04-22
-
世界上最神奇的10张照片 宇航员从太空看到的极光绚丽的极光在北极上空形成了圆圈,地球仿佛带上了美丽的皇冠!印度洋岛国毛里求斯的水下漩涡看画面,感觉像是世界的边缘,庞大的漩涡似乎要把整个印度洋给吞噬了。西欧葡萄牙的“地球破洞”偌 ... 世界之最04-21
-
世界上最安全的城市,中国“兵城”,一半人都是军人 在中国的西部腹地,昆仑山脚下,有这么一座城市,说出来你可能不信——它号称"世界上最安全的城市"。不是因为安装了多少摄像头,也不是因为警力密度有多高,而是因为这座城里近一半的居民都跟军队有关系。这座城市 ... 世界之最04-21
-
世界上最长寿的十大秘诀 世界最长寿地区的十大秘诀,并非遥不可及的奇迹,而是源于一种被称为“蓝色区域”的生活方式。这些遍布全球的社区,如日本冲绳、意大利撒丁岛,其居民百岁老人比例异常之高。他们的长寿秘诀,可凝练为以下十点:1. ... 世界之最04-21
-
世界上最长寿的5种生物TOP5,排名第一,理论上可以“永生” 人类追求长寿,却不知道地球上很多生物,寿命能轻松碾压人类,甚至能实现“理论永生”!今天盘点TOP5世界上最长寿的5种生物,每一种都有科学实测寿命数据,还有颠覆认知的长寿秘诀,看完带你解锁生命的无限可能。排 ... 世界之最04-21
-
火遍外网!北外滩小巨蛋,被外国人称为“世界上最棒的电梯” 最近,北外滩的“银色小巨蛋”在外网火了。它凭着独特的设计和绝佳的观景视角,在Instagram、TikTok等海外社交平台疯狂刷屏,被外国游客赞为“世界上最棒的电梯”,成为上海又一张亮眼的城市名片。△外网爆火视频“ ... 世界之最04-20
-
土库曼斯坦:世界上最奇葩的国家 环球旅行:世界上最奇葩的国家土库曼斯坦。这是世界上最奇葩的国家,这里的女生不能染头发也不能化妆,男生则不能玩游戏。因为总统的个人偏好要凌驾于法律之上,这里就是土库曼斯坦。只因总统觉得打游戏过于暴力会影 ... 世界之最04-20
相关文章
- 世界上最安全的城市,中国“兵城”,一半人都是军人
- 世界上最长寿的十大秘诀
- 世界上最长寿的5种生物TOP5,排名第一,理论上可以“永生”
- 火遍外网!北外滩小巨蛋,被外国人称为“世界上最棒的电梯”
- 土库曼斯坦:世界上最奇葩的国家
- 美国如今彻底没希望了,因为已经遇到了,世界上最强大的大国崛起
- “世界之最” 大桥进度+1!海岛人民在线云监工:“脊梁”突破 200 米
- 真是“世界最好喝”吗?
- 中国是世界上最强大的国家之一
- 内塔尼亚胡发表讲话:以色列军队是世界上最具道德的军队;西班牙抹黑我们的英雄,以色列不会对针对我们的行为保持沉默
- 世界最珍贵的10种资源
- 以色列总理回应西班牙首相谴责以军猛烈攻击黎巴嫩:以色列军队是世界最道德的军队
- 号称世界最好喝可乐单瓶售价29元?可乐虽好喝,要警惕肠道被“腐蚀”
- 世界上最安全的十大城市排名
- 能轻松咬碎头骨,掏内脏,被封世界最危险鸟类,现仅有五千只
- 世界上最穷国:一辈子没见过肉,自行车是豪车,连跑步都不允许
- 内塔尼亚胡回应西班牙首相:以色列军队是世界最道德的军队
- 内塔尼亚胡回应:西班牙抹黑我们的英雄,以色列军队是世界最道德的军队;此前西班牙首相谴责以色列,对生命和国际法的蔑视令人无法容忍
- 世界上最残忍的事,不是没遇到爱的人,而是遇到却最终错
- 世界上最可怜的国家:全国仅两辆公交、吃青菜算土豪,面临被淹没
热门阅读
-
挑战极限!中国人又创造了一项世界之最 01-07
-
世界最漂亮的十大美女,盛世美颜,你喜欢哪一位? 04-10
-
盘点一下世界之最,最长丁丁竟然有60㎝!! 04-26
-
全球最值钱的五大货币,竟然没有人民币和美元 05-10
-
莉娜·安德森 - 世界上最美丽的成人模特 09-25
